Hurricane Season 2020
Kind of out of the loop aren't they.....
I have friends in Puerto Plata sending me videos, its getting real!
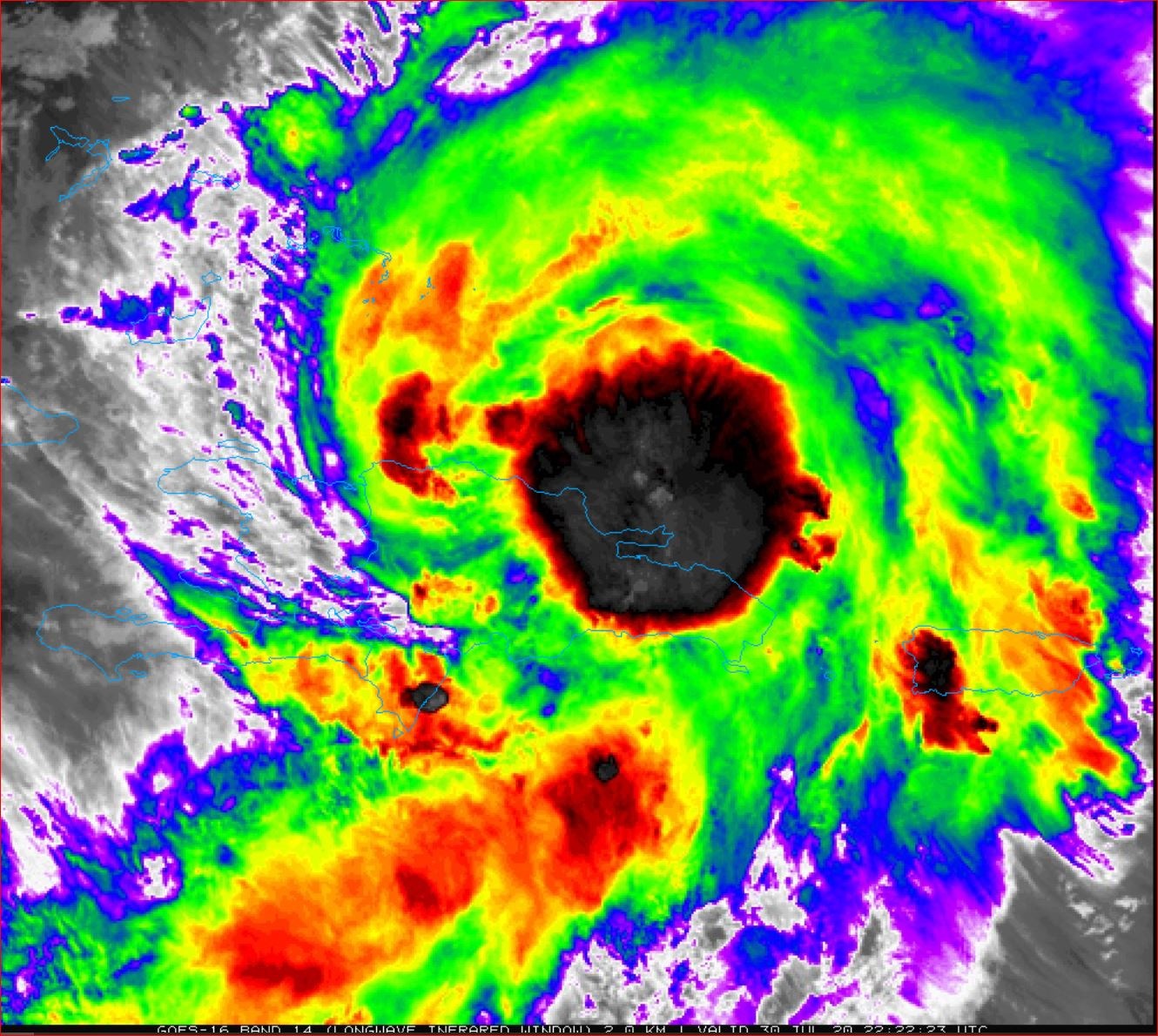
A new big and high cloud area is growing located somewhere south of Samana to Miches....all the way down to SPM. Maybe a new centre?
The previous barrel is rolling away from DR - almost like another storm but maybe the centre. All that convection to the south seems to be getting drawn into the new big area.
https://www.tropicaltidbits.com/sat/sat … product=ir
Pressures are dropping.
Convection kicking in except Santo Domingo which is in a dry air pocket which may be disruptive/
East Coast and Samana could be rough right now too.
We have a gentle rain in SD and no wind at all.
This really is a strange storm! Or should we say storms???
You can really see it here Lennox
https://cdn.star.nesdis.noaa.gov//GOES1 … 00x540.gif
New video form Levi:
https://youtu.be/PO150o2pNw0
https://uploads.disquscdn.com/images/91 … 2967ca.jpg
A lot of convection back near Samana with lots of lightning.
Maybe the worst is yet to come for Samana, the North Coast and inland DR?
Overall, there appears to be quite a lot of damage caused by Isaias around the country and especially in the East in El Seibo and Hato Mayor but also along the north coast and inland in Duarte. There are damage reports along the south coast too.
Puerto Plata seemed to get a fair beating:
https://www.puertoplatadigital.com/verN … x?Id=33375
All in all we were probably lucky that the storm was reorganizing when it was in our vacinity. It became a hurricane after leaving Monte Cristi last night. It was strange in that the officiasl track of the very weak surface low was across the country yet the much stronger mid level circulation barrelled along the north coast until the combined somewhere near Luperon.
The intense convection that was evident from Samana down through Hato Mayor clearly caused havoc with the rainfall. No reports seen yet from Samana except this video:
https://youtu.be/y7uYgArpEEA
As I have always stated all of DR is at risk from tropical storms and we as a country have been lucky in recent years. Hope it stays that way for the rest of this expected very busy season which will be entering the peak time in a couple of weeks.
Here in Moca there was gusty winds and rain most of yesterday. Some wind and it stormed during the night but there was actually two claps of thunder that I heard. Today started very overcast and rainy but has broken into some sun with clouds. I expect some occasional rain while the winds are very light, perhaps the usual gusts. Have noticed a few branches down but not heard of or seen any major issues, although there are likely some. More rain seemed to actually come down this AM but there is a lot of runoff where there is mild flooding as garbage has likely clogged up drainage culverts although nothing that I would call serious....cheers!
It appeared about 5pm or so that the eye of the "tropical storm" passed almost directly over Puerto Plata. They got hammered. Lots of rain and lots of wind damage.
Near Sosua an entire barrio underwater up to the second story roofs! Entire area wiped out!
Yes - I have seen several scenes on facebook. I feel badly for so many that will loose so much because of the flooding.
It's heartbreaking. Now the mosquitos will start hatching and dengue will breakout all under the umbrella of a pandemic!
Hope you all doing fine after this hurricane.
is las Terrenas been touched, are there big damage?
any big damage in DR ? how bad
There was some damage in the country but not horrendous. La Terrenas had some wind damage.
Hauto Mayor had a lot of flooding damage.
The north coast had wind and flooding damage.
Sadly two people lost their lives including a child!
NOAA Raises Hurricane Forecast, Predicts 'Extremely Active' Season
https://weather.com/storms/hurricane/ne … ugust-2020
Both NOAA and Colorado State expect perhaps 10 more hurricanes but the worst bit is perhaps 5 could be majors!
Can we expect more like Dorian, Maria and Irma this year? Hopefully not here!
Nothing showing up on weather models up to mid months so the predicted odds are for having a storm every 4 and a bit days from later this month to November and many of them will be hurricanes. Makes me think a bit of 2005 when I came back to the Caribbean - the year of Katrina in late August that year and Wilma in mid October and we got to greek alphabet name Zeta in late November.
Yes this is concerning both for the number of storms and the expected intensities!
The storms seem to act erratically, doing unexpected things based on history. Looks like we can throw out expectations out the window.
The oceans are warmer than normal and still heating up
All of us need to be prepared this year!
As always at this time of year you should follow Levi's video reports and his website Tropical Tidbits.
https://twitter.com/TropicalTidbits?ref … r%5Eauthorhttps://www.tropicaltidbits.com/https://youtu.be/7vI1jrZkGoY - 2nd half of video
He got it right with Isaias.
The wave invest 98L has potential but most models doubt it's development until it perhaps stays offshore/along of the DR north coast.
Great technical explanation of this event as always.
This year I am siding with more preparation rather than less.
I am expecting the worst on any storm getting close to us.
This has not yet developed into a tropical storm. It's trajectory takes it very close to us. Will likely be a rainmaker which can do significant damage.
Just now...
Levi Cowan
@TropicalTidbits
·
2m
#TD13 remains weak this morning, with the low-level center offset slightly north of the mid-level center, as it rotates around from the east side where it was yesterday.
TD13 faces obstacles on approach to the Leeward Islands, but conditions improve after that. One to watch.
.....As it tracks close to North Coast....
NHC......
FORECAST POSITIONS AND MAX WINDS
INIT 20/0900Z 15.2N 49.8W 30 KT 35 MPH
12H 20/1800Z 16.4N 52.7W 30 KT 35 MPH
24H 21/0600Z 17.5N 56.4W 35 KT 40 MPH
36H 21/1800Z 18.4N 60.2W 40 KT 45 MPH
48H 22/0600Z 19.1N 63.9W 45 KT 50 MPH
60H 22/1800Z 19.8N 67.1W 50 KT 60 MPH
72H 23/0600Z 20.8N 71.0W 55 KT 65 MPH
96H 24/0600Z 23.0N 78.0W 60 KT 70 MPH
120H 25/0600Z 26.0N 83.0W 60 KT 70 MPH
Current path takes it close to the north coast where they should be preparing for rain!
https://www.nhc.noaa.gov/refresh/graphi … e#contents
The worst looks to pass overnight Saturday into Sunday! People should be preparing NOW for what may come our way.
Agree conditions are ripe for strengthening quickly so everyone should be watching.
As we know things can change quickly - after all it is 2020! Nothing normal this year.
Maybe things will be quieter up here on the north coast this weekend...other than the rain and wind!
Expect a wet and gusty Saturday night and Sunday along the north of DR as the probable next tropical storm passes along the coast. Be prepared for possible damaging flooding and wind gusts.
Recon just recently appears to have found a weak closed circulation east of Guadeloupe which suggests the centre is south of the track genesis in the 8am NHC bulletin.
Levi Cowan
@TropicalTidbits
·
36m
Recon is finding what may be a weakly closed center for #TD13 east of Guadeloupe. TD13 will continue having to fight shear today & tomorrow. We'll be watching closely to see how organized it can become in the face of the shear. Heavy rains are approaching the northern Leewards.
Tropical Storm Laura now. 45mph sustained winds.
The weather models now reflect the shift south and the TS will probably pass over the north east coast and along the north coast. Expect a shift south with the NHC track. Passing over PR will disrupt Laura.
https://www.wunderground.com/hurricane/ … ?map=model
Tropical Storm Laura Discussion Number 7
NWS National Hurricane Center Miami FL AL132020
1100 AM AST Fri Aug 21 2020
A NOAA Hurricane Hunter aircraft has been investigating the system
this morning and found that the maximum winds have increased to near
40 kt, and therefore the cyclone is being named. The Hurricane
Hunters also found that the center of the storm is located somewhat
to the south of previous estimates. The system is better organized
than it was yesterday, but still lacks well-defined banding
features. However, some upper-level outflow is now noted over the
southern portion of the circulation. The official forecast calls
for some slow strengthening during the next couple of days, but the
intensity forecast is quite uncertain and depends on how much
interaction with land will occur. For now, we will assume that the
northern part of the circulation will remain over water so that the
system will not be too disrupted by Hispaniola and Cuba. The
official intensity forecast remains close to the model consensus
except at days 4 and 5 where it is a little lower due to these
uncertainties.
With the repositioning of the center, the motion is very uncertain
but is estimated to be 270/16 kt. Laura is expected to move mainly
west-northwestward on the south side of a subtropical high pressure
system over the next couple of days. Later in the forecast period,
the tropical cyclone should turn toward the northwest as it moves
around the western periphery of the high. The official track
forecast has been adjusted to the south of the previous one and is
on the northern side of the guidance suite.
https://www.nhc.noaa.gov/refresh/graphi … e#contents
Revised tack across north of DR.
Yup more of a direct hit now. So the north and east coasts need to be ready as well as Cibao valley.
WE are expecting rain on the south coast but we always need to be ready for erratic movements
As always, it is well worth waiting for Levi to provide his expert insight into tropical storm development and tonights video (the second two thirds) released just now explains the rather ragged shape of Laura and how it could develop over the coming days:
https://youtu.be/D2Z1dVxylJo
This guy knows his stuff and presents the explanation in the clearest of terms and has been proven accurate.
We have a weak low level circulation recently confirmed by recon. just near the south of St Kitts and Nevis and a mid level circulation detached more east from Guadeloupe along with convection. The storm is not stacked and until it stacks it will remain weak. The models are suggesting vertical stacking somewhere on the latitude of DR so we will be probably be seeing a weak TS on or offshore with the rain coming later as it passes and any winds will be concentrated to the north.
Laura is getting a bit more organized with several vortices in play as NHC at 8.00. Its track is predicted inland over DR so we will all feel some effects north to south, east to west.
Rain looks our big problem with perhaps 45/50 mph winds according to NHS prediction and gusts broadly spread. The rain and wind is behind the reported centre at present.
A friend in Nevis where the low level was centred at about 8am last night said it was calm and dry at that time but heavy rain with some wind came at midnight and has not stopped as of now 8 hours later.
Tropical Tidbits is showing wind in the north east and south east sectors widely spread from the centre.
And she has shifted south, official tracks show her eye crossing over about La Romana, entering the country and heading west north west across the island.
She is a good size storm and will cover the country and island so everyone needs to prepare NOW.
https://cdn.star.nesdis.noaa.gov//GOES1 … 00x540.gif
They are saying the most rain is in the south east side of the storm!
This is yet another storm with separated low level circulation and mid level circulation which is tied in with all the convection.
The LLC is ahead of the convection as can be picked up on the visible satelite image
at the south west corner of PR. The NHS track uses this as the genesis of the track which crosses over the East Coast and runs west north westerly across the country in the 11am NHC report.
https://www.star.nesdis.noaa.gov/GOES/s … ;length=24https://www.nhc.noaa.gov/refresh/graphi … e#contents
On the PR radar we can see the mid level circulation embedded with the convection and this is a few hundred miles behind the LLC.
https://www.accuweather.com/en/pr/san-j … dar/275478
If reports from the Leewards bear out, the weather will arrive with the convection and MLC a fee hours later than the LLC shown on the NHC tracking.
Levi Cowan
@TropicalTidbits
·
2h
The "center" of #Laura appears to be near the NE tip of Puerto Rico, with the pronounced mid-level center SW of St. Croix to its south. However, west winds are being observed near the latitude of this MLC, suggesting it may be trying to form a surface circulation of its own.
The mid level circulation south west of St Croix is beginning to look strong on PR radar and as mentioned above there could be west winds! Could this be a repositioning of the storm a few hundred miles east?
This all could be changing so keep alert.
As this is not a Weather Site, can we keep it simple please. We are going to get hit, its approaching, its big and its very wet!
The map is mostly what we need!
Here in Santo Domingo it looks like the middle of the night its so dark. We had bands of rain roll through and some wind but its not been bad yet. We had some serious thunder with the last band, it was quite impressive.
I understand that almost all the bad weather is on the back side of this storm, unlike the last one that hit the north coast!
Stay safe everyone.
Puerto Rico has had some serious wind,
The more dominant part of the storm has left the north west corner of Puerto Rico and is taking aim north of Punta Cana, towards Miches and Samana. The spin is clear on the San Juan radar.
As for the other low which os still the basis for the NHC track it is calmer in those parts.
Anybody along the north east and north coast should be prepared for some strong winds (50 knot with higher gusts ) in the coming hours. Rain will plague us all for many hours ahead into tomorrow.
For those that like to understand what is happening check our the second part of Levi's latest video this afternoon regarding Laura.
https://youtu.be/NM16bUQVr0g?t=1
Punta Cana webcam - the weather is just about to arrive.......
https://www.skylinewebcams.com/en/webca … -cana.html
Just getting another round of heavy thunder and the rain has started again.
I saw some videos of Puerto Rico, serious rains and winds!
Stay safe all!
Moca had mainly light to medium heavy showers yesterday. Heard some thunder but it was very weak and far away. Seemed to rain during the night and today is very overcast with light winds and it's been raining since I've been up. Cheers
Make your relocation easier with the Dominican Republic expat guide

Education in the Dominican Republic
This article will cover the Dominican Republic's educational system, including public schools attended by 80% ...

Death in the Dominican Republic
What customs and procedures are common when dealing with death in the Dominican Republic? Find more about it in ...

Working in Las Terrenas
Are you looking forward to settling in Las Terrenas? Here are some tips to help you find a job in this major ...

Birth in the Dominican Republic
This article provides some information about the culture and the customs of Dominicans when giving birth and ...

Food and shopping in the Dominican Republic
It is well worth exploring the Dominican cuisine and shopping options, and note what they buy and where they shop, ...

Setting up a business in the Dominican Republic
The Dominican Republic has indeed been attracting foreign investment over the past few decades, with notable ...

Pregnancy in the Dominican Republic
Are you ready to expand your family in the Dominican Republic (DR)? This article should provide you with all the ...

Living and accommodation in the up and coming Southwest of the Dominican Republic
Barahona, for some, might be Santa Cruz de Barahona, is the biggest city in this region. However, not yet a ...
Forum topics on living in Dominican Republic
Essential services for your expat journey



